Forside / Køb / Østjylland / Odder / Grunde / Maderiisvej 2

Byggegrunde med byggetilladelse nær Odder

Maderiisvej 2, 8300 Odder
Grunde til salg
Byggegrunde med byggetilladelse nær Odder
2 udstykkede byggegrunde med færdigtegnede projekter og byggetilladelse, sælges. De 2 byggegrunde er beliggende i Bjerager, en hyggelig landsby med landidylliske omgivelser blot 5 km fra Odder by. Odder Kommune har over 23.000 indbyggere, hvor hovedbyen Odder huser mere end halvdelen af kommunens befolkning. Odder er en driftig handelsby, som har set positiv udvikling inden for erhverv og tilflytning af særlig børnefamilier de seneste år. 
 
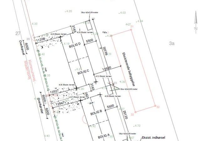
På de 2 byggegrunde, på henholdsvis 800 m2 og 814 m2, har sælger fået udarbejdet et projekt til opførelse af dobbelthuse, og har modtaget skriftlig godkendelse af projektet fra Odder kommune.   
 
Projektet omfatter opførelse af 2 stk. dobbelthuse på hver 218 m2. Dobbelthusene består af identiske enheder med 3 soveværelser, køkkenalrum, 1 badeværelse, entré, samt eget redskabsskur. 
 
Grundende er omfattet af kommuneplan (4 BL 12). 
 
Grundende er beliggende i Landzone. 
 
Såfremt du ønsker yderligere oplysninger om grundende kontakt venligst erhvervsmægler Oliver Juul på mobil nr. 3171 0566 eller mail: [email protected]
Placering af Maderiisvej 2, 8300 Odder
danbolig Erhverv Aarhus
Se hos mægler
Sagsoplysninger
Sagsnr
9020000009
Telefonnummer
Se telefonnummer {{ phone }}
Email
Se email {{ email }}
Økonomi
Pris i kr.
1.150.000 kr.
Pris pr. m² kr.
712 kr.
Lokalet
Etageareal
1.614 m²
Grundareal
1.614 m²
Energimærke
Ikke krav om energimærke
Anvendelse
Grunde
Grunde
Faciliteter
Bad